7 Yıl İstasyon alanı gösterildi
2012 yılına kadar 1/1000 ölçekli imar planlarında Yanikapı metro istasyon alanı olarak gösterildi. Mülk sahipleri Ucuz kamulaştırma tehdidi altında mülklerini satarak ayrıldı, Yeterli mülk el değiştirildikten sonra söz konusu adalar T2 ticari alan olarak imara açıldı
18 Nisan 2016 - 09:12
YENİ İMAR PLANLARINDA BİZANS OYUNLARI
Yıllarca halk korkutuldu, Mülkünü satması için Kamulaştırma tehdidi kullanıldı Şimdi son planlarda ticaret alanı yapıldı. Bu değişiklik 15-20 misli bir rant demektir, Buna vicdan yanaır mı?
Fatih Belediye Başkanı Sayın Mustafa Demir'in 1/1000'lik yeni imar planları askı süresi biter bitmez ilçenin tamamını pankartlarla donatarak, iki saat içinde dört kere aynı mesajı atarak bir açıklamada bulundu.
Bu açıklamaya göre yeni planların 2004 yılında onaylanan,2005 yılında yürürlüğe giren planlarla aynı olduğunu üstüne basa basa beyan etti.
Sitemizde paylaştığımız haberlerde 250 civarı henüz tespit ettiğimiz eski-yeni arasında farklılıklar gördük. Bilhassa Cami-Medreselerimizin parseli yok edilmiş, yada tescilli tarihi eser olan camii adı zikredilmeden, Plan tekniğine göre "Tahsis" alanı haline getirildi.
Bu arada bazı yeşil alanların, Ticaret alanına dönüştüğünü gördük, En müthişine bu gün bir vatandaşımızın ikazı ile vakıf olabildik.
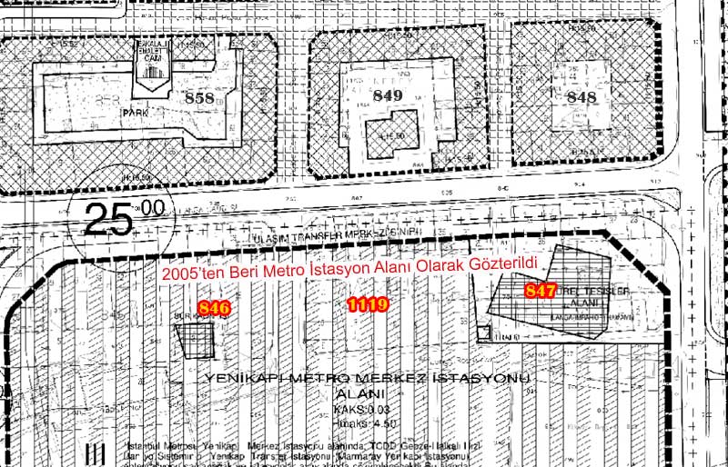
Yenikapı Metro istasyonu üstündeki 846-1119-847 nolu adalar 2005 yılından beri Metro alanına dahil gösteriliyordu. Mülk sahipleri yıllarca "İstimlak korkusu ile yaşadı" Birçoğu mülkünü YOK PAHASINA satarak mülkünü terk etti.
Şimdi yeni planlarda H.15.50 gibi Fatih'in en yüksek irtifasından Ticaret alanı olarak imara açıldığını görüyoruz.
BURADAKİ İMAR DEĞİŞİKLİĞİ RANT'MI, TESADÜF'MÜ?

Yukarıdaki planlarda Metro proje alanında görülen takribi 58 ayrı parsel üzerinde görülen binaların değeri bu planla birlikte en az 10-15 misli artmış oldu.

VE ŞİMDİ YENİLEME ALANI İLAN EDİLDİ

BU KONUDA BİZLERE BİLGİ VEREN BİR VATANDAŞIMIZ
VERDİĞİNİZ EMEKLER İÇİN ALLAH (CC) RAZI OLSUN
846 ADA 1119 ADA VE 849 ADA KOMPLE YENİKAPI METRO MERKEZ İSTASYONU ALANI İKEN YENİ İMARDA 15.50 İLE İMARA AÇILDI.
KAÇ YILDIR İNSANLAR HUZURSUZ
BİR ÇOK EMLAK EL DEĞİŞTİRDİ
KİRACILARI OLANLAR YILLARDIR KİRALARINI DÜZGÜN ALAMADILAR
İŞLETMECİLER BADANA BİLE YAPMADAN OTURUYORLAR .......
ALLAH (CC) ISLAH ETSİN, DOYUMSUZ GÖZLERE, İSTANBUL'U ŞÖYLE SAKİN BİR GEZMELERİNİ 8000 YILDIR YAŞAYAN VE GÖÇENLERİ BİR AN DÜŞÜNMELERİNİ TAVSİYE EDERİM
SELAM VE SAYGILARIMLA
Rıdvan Özcoşkun ozcoskunridvan@gmail.com
KONU HAKKINDA YAPTIĞIMIZ BAŞKA BİR HABER İÇİN TIKLAYINIZ
Piyangomu? Bizans Oyunu mu?

Yenikapı piyangosu alanında fotoğraflar

Bu binaların kaçı 2004 öncesi sahibinde hala?











YORUMLAR