Fatih İlçesi 1/1000'lik İmar Planları Askıya çıktı
Danıştay'ın 2008 yılında iptal ettiği Fatih imar planları 09 Mayıs 2012 Çarşamba günkü meclis oturumunda Fatih belediye meclisinden geçtiği halde askıya çıkması bu günlere kaldı.
07 Mart 2017 - 15:00
Fatih İlçesi 1/1000'lik İmar Planları Askıya çıktı
Fatih belediyesinin konu hakkındaki duyurusu aşağıda:
Fatih İlçesine Ait 65 Adet Plan Paftası 15.10.2012 tarihinde 30 gün süre ile Fatih Belediye Binası C Blok Zemin Kat’ ta Askıya Asılmıştır. Ayrıca resmi web sitemiz üzerinden de görülebilir.
Fatih Belediye Başkanlığı
İmar ve Şehircilik Müdürlüğü
Tarihi Yarımada-Fatih İlçesi Koruma Amaçlı İmar Planları ve notları İst.IV Numaralı K.V.K Bölge Kurulu’nun 25.07.2012 gün ve 788 sayılı kararı, İst.I Numaralı Yenileme Alanları K.V.K Bölge Kurulu’nun 19.09.2012 gün ve 277 sayılı Kurul Kararı ve İst. II Numaralı Yenileme Alanları K.V.K. Bölge Kurulu’nun 02.10.2012 gün ve 81 sayılı Kurul Kararı ile uygun bulunmuş ve İstanbul Büyükşehir Belediye Başkanlığınca 04.10.2012 tarihinde onaylanmıştır.
Fatih İlçesine Ait 65 Adet Plan Paftası 15.10.2012 tarihinde 30 gün süre ile Fatih Belediye Binası C Blok Zemin Kat’ ta Askıya Asılmıştır.
YILLARDIR SÖYLÜYORUZ
BU İMAR PLANLARI İLÇENİN NÜFUSUNU ELLİ BİN YAPAR
Daha önce Tv. Programlarında Başkan Mustafa Demir 5 yıl içinde Fatihin nüfusu 150.000 kişi olacak derken biz itiraz ettik taslaklarını bildiğimiz Danıştay'ın iptal ettiği planlara çok benzeyen bu imar planlarına göre ilçenin nüfusu, en fazla ellibin kişi olacak demiştik.
Biz yanılmadık, Planlara iyi bakın plan içinde planlar var!, İlçenin bütün planları Ada bazında tasarlanmış, Bina adalarının orta kısmı genişletilmiş, ortak yeşil alanlar oluşturulmuş.


Yukarıdaki planda silik çizgiler mevcut parsel ölçüleridir, Kalın çizgi ile gösterilen yeni parsel çizgisidir. neredeyse bütün ilçenin parselleri küçültülmüş olduğunu görüyorsunuz.

Parselleri küçültüp ada içinde ortak yeşil alanlar oluşturmak amacı söylense de yukarıdaki plana gördüğünüz gibi top sahası olabilecek bazı adalarda bile geri çekilme yapılmış, Bu duruma göre diyoruz ki Bu planı çizenlerin amacı ortak alanlar oluşturmak değil, mevcut parselizasyonu bozarak her bir parselin kendi binasını yenileme şansını ortadan kaldırmaktır.
Bu şekilde sanıyoruz ada bazında (Balat-Fener-Ayvansaray) projesinde olduğu gibi yeni bir yapılanma dayatması ile seçim sonrası karşımıza çıkacaklar. Belediyenin amacı garip bir şekilde ilçenin nüfusunu azaltıp ilçeyi "Turizm-Ticaret-Konaklama" alanı haline getirmek herhalde. Zaten bu iktidarın, bu belediyenin çıkmasına ön ayak olduğu 5366 sayılı yasa bu şekilde bir amaç ortaya koyuyor.

İlçenin sokak düzeni sil baştan yapılacak. 2008 yılında iptal edilen 1/5000 lik Fatih imar planlarına bakarsak durumu daha iyi kavrayacağız (Bakınız) Gördüğünüz gibi beş binlik planlarda gösterilmesi gereken sokaklar %90 yok olmuş, Yarın ki Fatih'in ip uçlarını bu beş binlik planda görebilirsiniz. Bütün Amaç RANT olduğunu zaten mahkemeler tespit ederek Belediyenin mülk sahiplerine dayattığı projeleri iptal etti.
Yarın aynı dayatmalar tekrar gündeme gelecektir. Şu an Fener Balat Ayvansaray projesine Mollaşkı ve Atikmustafa paşa mahalleleri de eklenerek "Acele Kamulaştırma" adı altında birilerinin hayal ettiği RANT projelerini uygulayacaklarını sanıyorlar. Halkımız teklif edilen şartları kabul ederse neden olmasın, Sulukule projesinde 25-35 bin lira eden evlere 45-65 bin TL vererek, projenin yapılma amacı olan Romanların sosyal hayatının düzeltilmesi unutulmuş, Milyonluk evler projeye hakim kişiler tarafından yağmalanmıştı.
Küçükpazar'da KİPTAŞ iki adada "Acele kamulaştırma kararı" çıkarttı, Vatandaş istediğiniz projeyi biz yapalım dedi, kabul görmedi, Projeye ortak olalım dediler, kabul görmedi.
Ya ne olacak dediklerinde KİPTAŞ yetkilileri Biz bu adaya Otel yaparak satacağız, Elde ettiğimiz gelirden masrafları çıkıp kalan paranın %40'ını hak sahiplerine dağıtacağız demişler. Mevcut mülk sahipleri bu kamulaştırma kararına itiraz ettiler, bakalım yargı bu konuda ne diyecek bekliyoruz.
Fatih dışındaki dönüşüm projelerinin uygulanmasında sıkıntı yok, Vatandaş evini kendi seçtiği müteahhide veriyor, Müteahhit 3-5 katlı binaların olduğu adalara 18 katlı binalar dikiyor, iki tarafta kazanıyor.
Fatihte bu imkan yok Fatih belediyesi mülk sahiplerinin kendilerinin evlerini yenilemesine müsaade etmiyor, 5366 sayılı yasa bu hakkı vermiş olsa bile hem KİPTAŞ, Hem Fatih belediyesi buna yanaşmıyor. Öncelikle kırılması gereken engel bu olduğunu düşünüyoruz.
Amaç Depreme karşı binaların güçlendirmesi değil mi? O zaman bırakın vatandaş kendisi buna bir çözüm bulsun, İlçemizdeki mülk sahipleri bu hakkı alması gerekiyor, alamaz ise olacak olan ortada "Sulukule" mağdurlarının durumuna düşürüleceğiz.
Fener Balat Ayvansaray projesinde bir vatandaşın mülkü 125 bin lira sayılırken GAP inşaatın yapacağı yeni yapılanmada muadili bir daire için 900 bin TL istendiğine şahit olduk, Proje içindeki vatandaşlara %33 indirim yapılarak 600 Bin TL talep edilmişti.
Sulukule türü inşaat maliyetinin M2 fiyatı 45 Bin TL olmasına rağmen TOKİ buradaki hak sahiplerinden M2 başına 2.500 TL talepte bulunduğunu duyduk, Üstüne üstlük o bir sosyal proje...!
Yarın Eyvah dememek için öncelikle örgütlenin, Dernek olun, Kardeş derneklerle ortak çalışın, proje destekçisi yöneticilerin farkına varın, satılmayın, Allah yar ve yardımcınız olsun.
Abdullah Gözaydın fatihten@gmail.com 0535 7465548
15 Ekim 2012
İLGİLİ HABERLER İÇİN TIKLAYINIZ
Fatih belediyesinin konu hakkındaki duyurusu aşağıda:
Fatih İlçesine Ait 65 Adet Plan Paftası 15.10.2012 tarihinde 30 gün süre ile Fatih Belediye Binası C Blok Zemin Kat’ ta Askıya Asılmıştır. Ayrıca resmi web sitemiz üzerinden de görülebilir.
Fatih Belediye Başkanlığı
İmar ve Şehircilik Müdürlüğü
Tarihi Yarımada-Fatih İlçesi Koruma Amaçlı İmar Planları ve notları İst.IV Numaralı K.V.K Bölge Kurulu’nun 25.07.2012 gün ve 788 sayılı kararı, İst.I Numaralı Yenileme Alanları K.V.K Bölge Kurulu’nun 19.09.2012 gün ve 277 sayılı Kurul Kararı ve İst. II Numaralı Yenileme Alanları K.V.K. Bölge Kurulu’nun 02.10.2012 gün ve 81 sayılı Kurul Kararı ile uygun bulunmuş ve İstanbul Büyükşehir Belediye Başkanlığınca 04.10.2012 tarihinde onaylanmıştır.
Fatih İlçesine Ait 65 Adet Plan Paftası 15.10.2012 tarihinde 30 gün süre ile Fatih Belediye Binası C Blok Zemin Kat’ ta Askıya Asılmıştır.
YILLARDIR SÖYLÜYORUZ
BU İMAR PLANLARI İLÇENİN NÜFUSUNU ELLİ BİN YAPAR
Daha önce Tv. Programlarında Başkan Mustafa Demir 5 yıl içinde Fatihin nüfusu 150.000 kişi olacak derken biz itiraz ettik taslaklarını bildiğimiz Danıştay'ın iptal ettiği planlara çok benzeyen bu imar planlarına göre ilçenin nüfusu, en fazla ellibin kişi olacak demiştik.
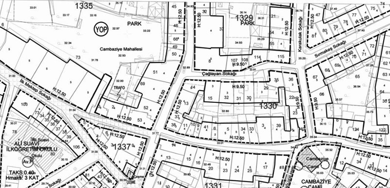
Biz yanılmadık, Planlara iyi bakın plan içinde planlar var!, İlçenin bütün planları Ada bazında tasarlanmış, Bina adalarının orta kısmı genişletilmiş, ortak yeşil alanlar oluşturulmuş.


Yukarıdaki planda silik çizgiler mevcut parsel ölçüleridir, Kalın çizgi ile gösterilen yeni parsel çizgisidir. neredeyse bütün ilçenin parselleri küçültülmüş olduğunu görüyorsunuz.

Parselleri küçültüp ada içinde ortak yeşil alanlar oluşturmak amacı söylense de yukarıdaki plana gördüğünüz gibi top sahası olabilecek bazı adalarda bile geri çekilme yapılmış, Bu duruma göre diyoruz ki Bu planı çizenlerin amacı ortak alanlar oluşturmak değil, mevcut parselizasyonu bozarak her bir parselin kendi binasını yenileme şansını ortadan kaldırmaktır.
Bu şekilde sanıyoruz ada bazında (Balat-Fener-Ayvansaray) projesinde olduğu gibi yeni bir yapılanma dayatması ile seçim sonrası karşımıza çıkacaklar. Belediyenin amacı garip bir şekilde ilçenin nüfusunu azaltıp ilçeyi "Turizm-Ticaret-Konaklama" alanı haline getirmek herhalde. Zaten bu iktidarın, bu belediyenin çıkmasına ön ayak olduğu 5366 sayılı yasa bu şekilde bir amaç ortaya koyuyor.

İlçenin sokak düzeni sil baştan yapılacak. 2008 yılında iptal edilen 1/5000 lik Fatih imar planlarına bakarsak durumu daha iyi kavrayacağız (Bakınız) Gördüğünüz gibi beş binlik planlarda gösterilmesi gereken sokaklar %90 yok olmuş, Yarın ki Fatih'in ip uçlarını bu beş binlik planda görebilirsiniz. Bütün Amaç RANT olduğunu zaten mahkemeler tespit ederek Belediyenin mülk sahiplerine dayattığı projeleri iptal etti.
Yarın aynı dayatmalar tekrar gündeme gelecektir. Şu an Fener Balat Ayvansaray projesine Mollaşkı ve Atikmustafa paşa mahalleleri de eklenerek "Acele Kamulaştırma" adı altında birilerinin hayal ettiği RANT projelerini uygulayacaklarını sanıyorlar. Halkımız teklif edilen şartları kabul ederse neden olmasın, Sulukule projesinde 25-35 bin lira eden evlere 45-65 bin TL vererek, projenin yapılma amacı olan Romanların sosyal hayatının düzeltilmesi unutulmuş, Milyonluk evler projeye hakim kişiler tarafından yağmalanmıştı.
Küçükpazar'da KİPTAŞ iki adada "Acele kamulaştırma kararı" çıkarttı, Vatandaş istediğiniz projeyi biz yapalım dedi, kabul görmedi, Projeye ortak olalım dediler, kabul görmedi.
Ya ne olacak dediklerinde KİPTAŞ yetkilileri Biz bu adaya Otel yaparak satacağız, Elde ettiğimiz gelirden masrafları çıkıp kalan paranın %40'ını hak sahiplerine dağıtacağız demişler. Mevcut mülk sahipleri bu kamulaştırma kararına itiraz ettiler, bakalım yargı bu konuda ne diyecek bekliyoruz.
Fatih dışındaki dönüşüm projelerinin uygulanmasında sıkıntı yok, Vatandaş evini kendi seçtiği müteahhide veriyor, Müteahhit 3-5 katlı binaların olduğu adalara 18 katlı binalar dikiyor, iki tarafta kazanıyor.
Fatihte bu imkan yok Fatih belediyesi mülk sahiplerinin kendilerinin evlerini yenilemesine müsaade etmiyor, 5366 sayılı yasa bu hakkı vermiş olsa bile hem KİPTAŞ, Hem Fatih belediyesi buna yanaşmıyor. Öncelikle kırılması gereken engel bu olduğunu düşünüyoruz.
Amaç Depreme karşı binaların güçlendirmesi değil mi? O zaman bırakın vatandaş kendisi buna bir çözüm bulsun, İlçemizdeki mülk sahipleri bu hakkı alması gerekiyor, alamaz ise olacak olan ortada "Sulukule" mağdurlarının durumuna düşürüleceğiz.
Fener Balat Ayvansaray projesinde bir vatandaşın mülkü 125 bin lira sayılırken GAP inşaatın yapacağı yeni yapılanmada muadili bir daire için 900 bin TL istendiğine şahit olduk, Proje içindeki vatandaşlara %33 indirim yapılarak 600 Bin TL talep edilmişti.
Sulukule türü inşaat maliyetinin M2 fiyatı 45 Bin TL olmasına rağmen TOKİ buradaki hak sahiplerinden M2 başına 2.500 TL talepte bulunduğunu duyduk, Üstüne üstlük o bir sosyal proje...!
Yarın Eyvah dememek için öncelikle örgütlenin, Dernek olun, Kardeş derneklerle ortak çalışın, proje destekçisi yöneticilerin farkına varın, satılmayın, Allah yar ve yardımcınız olsun.
Abdullah Gözaydın fatihten@gmail.com 0535 7465548
15 Ekim 2012
İLGİLİ HABERLER İÇİN TIKLAYINIZ







YORUMLAR